Overview
Status:  Building
Description

Đào Tấn Diamond City – Điểm Sáng Khu Dân Cư Liền Kề Tại Trung Tâm Thành Phố Huế

Đào Tấn Diamond City không chỉ là một dự án khu dân cư thông thường mà còn là biểu tượng mới của phong cách sống hiện đại và tiện nghi tại trung tâm Thành phố Huế. Tọa lạc tại vị trí đắc địa trên tuyến đường Đào Tấn – Trần Thái Tông, dự án hứa hẹn mang đến không gian sống lý tưởng, cùng tiềm năng đầu tư hấp dẫn trong tương lai gần.

Dự án được phát triển bởi Công ty Cổ phần Đầu tư Newland, một chủ đầu tư uy tín, cam kết kiến tạo một cộng đồng dân cư đồng bộ, hiện đại và văn minh. Với quy mô được quy hoạch rõ ràng, sản phẩm chính là nhà ở liền kề được xây dựng đồng bộ, đảm bảo tính thẩm mỹ cao và chất lượng công trình vượt trội (yêu cầu tối thiểu xây thô hoàn thiện kiến trúc mặt ngoài).

Tổng Quan Dự Án Đào Tấn Diamond City

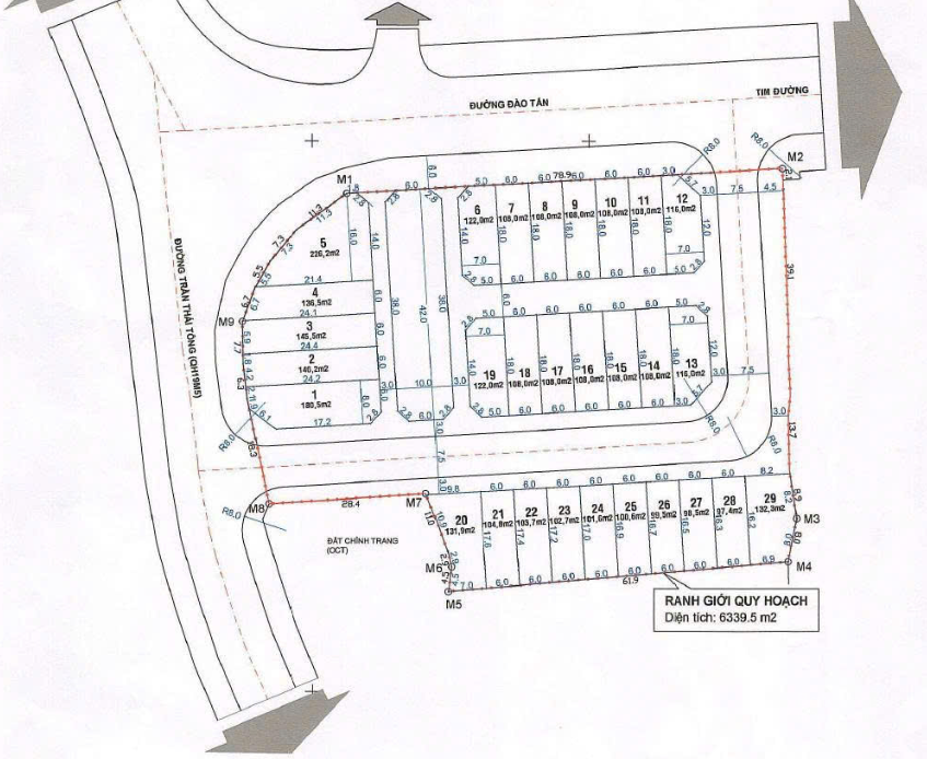
Hình ảnh tổng quan dự án Đào Tấn Diamond City

Đào Tấn Diamond City là một khu dân cư phức hợp, được quy hoạch trên tổng diện tích 6.339,5m². Dự án nằm tại Phường Trường An, Thành phố Huế, Tỉnh Thừa Thiên Huế, một khu vực có tốc độ phát triển hạ tầng nhanh chóng. Với mục tiêu xây dựng một khu phố thương mại – nhà ở hiện đại, dự án tập trung vào loại hình sản phẩm nhà ở liền kề và shophouse, đáp ứng nhu cầu an cư lẫn kinh doanh.

Tổng số lượng sản phẩm của dự án là 29 lô đất quy hoạch đất ở liền kề. Sự hữu hạn về số lượng này càng làm tăng thêm giá trị và sự khan hiếm của các sản phẩm tại Đào Tấn Diamond City. Chủ đầu tư chú trọng vào việc xây dựng đồng bộ cơ sở hạ tầng và kiến trúc, tạo nên một tổng thể hài hòa, đẳng cấp.

Chủ Đầu Tư và Pháp Lý

Dự án được triển khai bởi Công ty Cổ phần Đầu tư Newland. Mặc dù thông tin về pháp lý chi tiết đang được cập nhật, việc chủ đầu tư công bố rõ ràng về quy hoạch và sản phẩm xây thô hoàn thiện mặt ngoài cho thấy sự minh bạch trong quá trình phát triển dự án, mang lại sự yên tâm nhất định cho khách hàng.

Quy Mô và Cơ Cấu Sản Phẩm

Tổng diện tích quy hoạch của dự án là 6.339,5 m². Diện tích này được phân bổ hợp lý để vừa đảm bảo không gian sống, vừa dành diện tích cho hạ tầng kỹ thuật, giao thông, và tiện ích công cộng.

  • Đất ở đô thị: 3.463,9 m²
  • Đất giao thông: 1.923,8 m²
  • Đất khu vui chơi, giải trí công cộng (cây xanh, vườn hoa): 412,0 m²
  • Đất công trình công cộng khác (hạ tầng kỹ thuật): 539,8 m²

Sản phẩm chính bao gồm 29 lô đất, được chia thành hai loại hình chính:

  • 19 lô đất ở hỗn hợp (Shophouse): Diện tích đa dạng từ 108,0m² đến 226,2m². Đây là lựa chọn lý tưởng cho các gia đình muốn kết hợp giữa sinh hoạt và kinh doanh thương mại.
  • 10 lô đất ở liền kề: Diện tích từ 97,4m² đến 132,3m². Các lô này tập trung vào chức năng an cư, với thiết kế hiện đại và tiện nghi.

Tất cả các sản phẩm đều là nhà ở liền kề được xây dựng đồng bộ (tối thiểu xây thô hoàn thiện kiến trúc mặt ngoài), đảm bảo mỹ quan đô thị chung và chất lượng xây dựng cao.

Vị Trí Kim Cương và Khả Năng Kết Nối Vùng

Sơ đồ vị trí Đào Tấn Diamond City

Dự án Đào Tấn Diamond City sở hữu tọa độ vàng tại mặt tiền đường Đào Tấn – Trần Thái Tông, Phường Trường An, Thành phố Huế (tọa độ: Vĩ độ 16,44554329, Kinh độ 107,5795288). Đây là một trong những khu vực dân cư sầm uất, thuận lợi cho giao thương và di chuyển.

Vị trí địa lý của dự án tiếp giáp với nhiều khu vực quan trọng:

  • Phía Bắc: Giáp đường Đào Tấn.
  • Phía Tây: Giáp đường Trần Thái Tông.
  • Phía Nam và Phía Đông: Giáp đất ở dân cư hiện hữu, tạo nên một môi trường sống cộng đồng đã hình thành.

Hệ Thống Kết Nối Vùng Hoàn Hảo

Nhờ vị trí trung tâm, cư dân tại Đào Tấn Diamond City dễ dàng tiếp cận mọi tiện ích và dịch vụ trọng yếu của thành phố Huế chỉ trong vài phút di chuyển:

  • Cách các trường đại học lớn như Trường Quốc học Huế, Đại học Huế khoảng 1-2km.
  • Chỉ 1.2km đến Bệnh viện Trung ương Huế, đảm bảo khả năng tiếp cận dịch vụ y tế chất lượng cao.
  • Khoảng 1-2.5km đến các trung tâm thương mại và chợ lớn như Vincom Huế, BigC, và Chợ Đông Ba.
  • Cách UBND TP. Huế, các ngân hàng, và bưu điện khoảng 2km.
  • Gần các địa điểm giải trí và văn hóa nổi tiếng như Công viên Thương Bạc, Phố đi bộ Nguyễn Đình Chiểu (khoảng 2km).

Sự thuận tiện này không chỉ nâng cao chất lượng cuộc sống mà còn đảm bảo giá trị bất động sản tăng trưởng ổn định theo thời gian.

Tiện Ích Nội Khu Đồng Bộ và Hiện Đại

Thiết kế tiện ích nội khu Đào Tấn Diamond City

Dự án Đào Tấn Diamond City được đầu tư mạnh mẽ vào hệ thống tiện ích nội khu và hạ tầng kỹ thuật, tạo nên một không gian sống khép kín, tiện nghi và an toàn. Các tiện ích được quy hoạch đồng bộ nhằm phục vụ tối đa nhu cầu sinh hoạt, giải trí, và thương mại của cư dân.

Tiện Ích Hạ Tầng Kỹ Thuật

Hạ tầng tại dự án được hoàn thiện ở mức cao nhất, bao gồm:

  • Hệ thống đường bao quanh dự án rộng 26m, giúp giao thông thông suốt và dễ dàng.
  • Đường nội bộ rộng 17.5m, tạo điều kiện thuận lợi cho việc đi lại và đậu đỗ xe.
  • Vỉa hè rộng được lát đá sang trọng, kết hợp khuôn viên cây xanh, mang lại cảnh quan xanh mát.
  • Hệ thống điện nước hoàn thiện, đảm bảo cung cấp liên tục và an toàn.

Tiện Ích Dịch Vụ và Giải Trí

Nhằm đáp ứng nhu cầu sống đa dạng, dự án tích hợp nhiều tiện ích dịch vụ quan trọng:

  • Công viên nội khu: Cung cấp không gian xanh để thư giãn và tập thể dục.
  • Trung tâm thương mại dịch vụ: Phục vụ nhu cầu mua sắm và giao dịch hàng ngày.
  • Khu vui chơi trẻ em: Thiết kế an toàn và sáng tạo, là nơi lý tưởng cho trẻ em phát triển.
  • Khu sinh hoạt cộng đồng: Nơi tổ chức các hoạt động chung, tăng cường sự gắn kết giữa các cư dân.

Các Loại Hình Tiện Ích Đa Dạng

Danh mục các loại tiện ích được cung cấp hoặc dễ dàng tiếp cận bao gồm:

  • Tiện ích cơ bản: Bãi đỗ xe, Lối thoát hiểm, Hệ thống PCCC.
  • Tiện ích an ninh: Hệ thống An ninh (HT An ninh).
  • Tiện ích giải trí & sức khỏe: Công viên, Đường chạy bộ, Phòng sinh hoạt, Vui chơi trẻ em.
  • Tiện ích thương mại & dịch vụ: Siêu thị, Cửa hàng tiện lợi, ATM & Ngân hàng, Trạm y tế, Trung tâm thương mại.

Sự phong phú của các tiện ích này biến Đào Tấn Diamond City thành một khu đô thị thu nhỏ, nơi cư dân có thể tận hưởng cuộc sống chất lượng mà không cần đi xa.

Thiết Kế và Mặt Bằng Chi Tiết

Phối cảnh sản phẩm nhà ở liền kề Đào Tấn Diamond City

Dự án Đào Tấn Diamond City được quy hoạch với tổng diện tích đất ở đô thị là 3.463,9 m². Trong đó, đất xây dựng nhà ở hỗn hợp (Shophouse) chiếm 2.390,9 m² và đất xây dựng nhà ở liền kề chiếm 1.073,0 m². Sự phân chia rõ ràng này giúp tối ưu hóa công năng sử dụng cho từng loại hình sản phẩm.

Phân Tích Sản Phẩm Liền Kề và Shophouse

Các lô đất liền kề và hỗn hợp đều có diện tích hợp lý, phù hợp với nhu cầu sinh hoạt và kinh doanh của nhiều đối tượng khách hàng:

  • Shophouse (19 lô): Diện tích dao động từ 108,0m² đến 226,2m². Với vị trí mặt tiền và diện tích lớn, các căn shophouse này có tiềm năng khai thác thương mại rất cao, đặc biệt nhờ vào lưu lượng giao thông thuận tiện trên tuyến Đào Tấn – Trần Thái Tông.
  • Nhà ở Liền kề (10 lô): Diện tích từ 97,4m² đến 132,3m². Các căn liền kề này mang lại không gian sống riêng tư, yên tĩnh nhưng vẫn đảm bảo kết nối nhanh chóng với các tiện ích chung của dự án.

Yêu cầu xây dựng đồng bộ kiến trúc mặt ngoài giúp dự án duy trì được vẻ đẹp hiện đại, thống nhất và sang trọng. Đây là điểm cộng lớn, nâng tầm giá trị thẩm mỹ cho toàn bộ khu dân cư.

Đánh Giá Tổng Kết và Tiềm Năng Đầu Tư

Đào Tấn Diamond City là một dự án hiếm hoi sở hữu vị trí trung tâm tại Thành phố Huế, kết hợp với quy hoạch đồng bộ và hệ thống tiện ích hoàn chỉnh. Dự án không chỉ giải quyết nhu cầu về nhà ở chất lượng cao mà còn mở ra cơ hội đầu tư hấp dẫn. Huế đang phát triển mạnh mẽ về du lịch và kinh tế, kéo theo nhu cầu về bất động sản cao cấp ngày càng tăng.

Với sự khan hiếm của các lô đất nền tại khu vực trung tâm, cùng với sự cam kết về chất lượng và tiến độ từ chủ đầu tư Newland, Đào Tấn Diamond City chắc chắn sẽ là lựa chọn hàng đầu cho các nhà đầu tư và cư dân muốn tìm kiếm một nơi an cư lạc nghiệp đẳng cấp tại Cố đô.

Dự kiến, khi hoàn thành và đi vào hoạt động, khu dân cư này sẽ góp phần đáng kể vào việc thay đổi diện mạo đô thị, mang lại một không gian sống mới, năng động và hiện đại cho Phường Trường An, Thành phố Huế.



Location

Đường Đào Tấn – Trần Thái Tông, Phường Trường An, Thành phố Huế, Thừa Thiên Huế.


Project video

Share this project:



Write a review

Please log in to write review!




Contact

Máy tính thế chấp

$

Drag the slider or enter the amount you want to borrow

80% 100%
$
%/year
$

Calculate Your Mortgage

Enter your property price and loan details above to see estimated monthly payments and total interest.

Amortization Schedule

Loan Amount 0 $
Total Interest 0 $
Total Amount 0 $